Construlix apresenta projeto técnico da canalização do Parque Caldeira e rebate tese de falha na execução
Empresários negam falha de execução do projeto, que apresenta ausência do “colchão de reno” dos trechos III, IV e V da obra de canalização do córrego Tocantins
A veiculação de reportagem na edição de 5 de janeiro, motivou os empresários Luiz Otávio Gavazzi e Orlando Nazari Júnior a visitarem a redação do Diário, para a apresentação do projeto técnico da obra e a contestação da decisão, o que também está sendo feito na esfera judicial.
A reportagem, publicada pelo Diário, retratava a ação das chuvas que ampliou os danos estruturais na canalização do córrego Tocantins, no Parque Caldeira, com o registro de crateras e placas de concreto soltas ao longo da obra, além de divulgar o teor da condenação imposta à empresa Construlix – Construção, Indústria, Comércio e Serviços Ltda.
Vencedora dos processos licitatórios para a execução dos trechos III, IV e V da obra de canalização do córrego Tocantins, no Parque Caldeira, a empresa foi condenada a proceder reparos necessários. No entanto, a empresa continua recorrendo da decisão judicialmente, inclusive alegando cerceamento de defesa, falhas técnicas no processo licitatório e a falta de projeto básico/executivo.
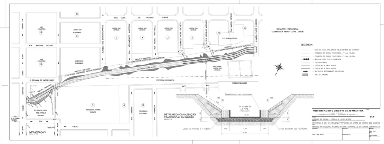
Em entrevista ao Diário, os empresários apresentaram os projetos técnicos originais da licitação do trecho I, elaborado pela empresa multinacional Maccaferri, que serviriam de base para a execução dos demais trechos complementares daquela canalização.
O projeto apresentado na licitação está diferente do projeto da empresa Maccaferri, uma vez que não previa a implantação do colchão-reno dentro do canal, mas, somente nas margens do referido córrego do projeto licitado pela Prefeitura Municipal. “Nos projetos das licitações dos trechos III, IV e V, foram retirados os colchões-reno de dentro do canal. É nítida e cristalina a alteração ocorrida no projeto da empresa Maccaferri; a impressão digital dessa alteração no projeto licitado, aparece na cota (0,23m) – medida da altura do colchão de reno, mas não indica a sua instalação propriamente dito, ou seja, apenas a medida do projeto anterior foi mantida”, revela Orlando Nazari Júnior.
A inexistência deste elemento no projeto e a falta de manutenção periódica da obra, até então regido pela lei de licitações nº 8.666, de 21 de junho de 1993, são apontados pelos empresários como principais responsáveis pelo aparecimento de problemas estruturais. “Nós fomos contratados para executar a obra de acordo com as especificações constantes no projeto técnico. Não tínhamos conhecimento do projeto aplicado nas duas etapas anteriores – onde constava a instalação do colchão-reno dentro do canal. Então, nos baseamos no documento técnico que nos foi entregue”, destacou Luiz Otávio Gavazzi.
Ainda segundo o empresário, a canalização foi concluída de acordo com as especificações; e a equipe técnica da Prefeitura assinou o Termo de Recebimento da obra. Gavazzi salienta ainda que o argumento apresentado em juízo pelos técnicos do Poder Executivo de que desconheciam a obra, mesmo que fosse verdade, infringiria a própria lei de licitações, que estabelece em seu artigo 67 que: “A execução do contrato deverá ser acompanhada e fiscalizada por um representante da Administração especialmente designado, permitida a contratação de terceiros para assisti-lo e subsidiá-lo de informações pertinentes a essa atribuição”.
Sem o conhecimento do motivo da supressão, por parte da equipe técnica da prefeitura, do colchão-reno nos desenhos técnicos dos trechos executados pela empresa, os empresários ressaltam que em grande parte das licitações, mesmo após a aprovação dos convênios, a demora para ao recebimento dos recursos promove um desequilíbrio financeiro em razão da elevação de valores dos materiais previstos no projeto de execução das obras. “Não posso alterar um projeto. É ele quem vai nortear toda a execução da obra. Se a equipe técnica da prefeitura decidiu retirar o colchão de reno para evitar uma contrapartida maior, não temos como pagar por um erro deles”, afirma Gavazzi.
Sobre a decisão judicial, os empresários destacam que, por se tratar de um assunto estritamente técnico, não houve uma correta compreensão dos fatos, inclusive com impossibilidade de apresentação de elementos fundamentais para a defesa e para confrontar os depoimentos de técnicos da prefeitura. “O profissional da prefeitura que depôs não assumiu a responsabilidade pela retirada – no projeto licitado, do colchão de reno e disse que estava implícito no projeto. Como está implícito? Não constava do projeto básico apresentado!”, exclama.
Os empresários confirmam terem cumprido o projeto e a planilha orçamentária apresentada, com a colocação dos gabiões tipo caixa e a instalação do colchão-reno nas margens laterais, atendendo integralmente os desenhos técnicos que nortearam as obras.
A argumentação apresentada pela Construlix foi acolhida parcialmente por dois dos desembargadores da 12ª Câmara de Direito Público do Tribunal de Justiça de São Paulo, conforme sentença publicada em 13 de setembro, reconheceram a responsabilidade da Prefeitura. No entanto, por maioria do colegiado, foi negado provimento ao recurso de apelação apresentado pela empresa.
Tranquilidade
Os empresários revelam estarem tranquilos, mas não satisfeitos com toda essa situação. Em mais de 30 anos de serviços prestados, tanto à iniciativa privada quanto para órgãos públicos, a Construlix possui um histórico de sucesso, com raros problemas em suas obras.
Prova da serenidade e da certeza de terem executado os serviços de maneira condizente com o licitado, os empresários irão tentar viabilizar agora uma reunião na Câmara Municipal de Adamantina, para apresentar os detalhes técnicos aos vereadores.
Além da falha de projeto, os empresários destacam ainda que a falta de manutenção da obra é fator primordial para o atual cenário de degradação da canalização.
Disputa Judicial
A Construlix Construção, Ind. Com. e Serviços Ltda. foi vencedora em licitação da Carta Convite nº 04/2014, que teve por objeto a contratação de empresa especializada para reparos e manutenção dos trechos III e IV na obra de canalização do Córrego Caldeiras, e resultou no Contrato Administrativo nº 62/2014. Em maio de 2015, o Município de Adamantina alegou a inexecução do contrato, dado que os problemas persistiram após a conclusão dos reparos.
No Poder Judiciário, conforme sentença de 7 de fevereiro de 2017, a Construlix foi condenada a proceder os reparos no “Trecho IV” da obra de canalização do córrego, sob pena de multa diária de R$ 5 mil, limitada a R$ 150 mil (Processo 1001981-42.2016.8.26.0081).
A empresa recorreu e o caso foi remetido ao Tribunal de Justiça do Estado de São Paulo. Em 4 de agosto do ano passado, a 12ª Câmara de Direito Público do TJSP julgou o recurso apresentado pela empresa. A sentença foi publicada em 13 de setembro do ano passado.
Fonte: Everton Santos do Diário





